ГОРЕЩО
Колтуклиева: Пропагандната машина на ППДБ се самозапали и самовзриви - извадиха Теодора Георгиева и София Андреева да ги изперат и обслужат...
Момчето за всичко на Кирил Добрев - Крум Зарков, да си каже с коя кола го замъкнаха в прокуратурата да се разбира за срамната сделка с апартамента на "Дондуков"
ДОСИЕТАТА "КАЛУШЕВ": Какво крие министър Дечев за Петроханската секта? Изскачат нови връзки с кмета Терзиев
Fibank отново подкрепи Българската федерация по художествена гимнастика
РАЗПАДЪТ ОКОЛО ТЕРЗИЕВ НЕ СПИРА: Напусна и зам.-кметът му по култура и образование
ПИК с нов канал в Телеграм
Последвайте ни в Google News Showcase
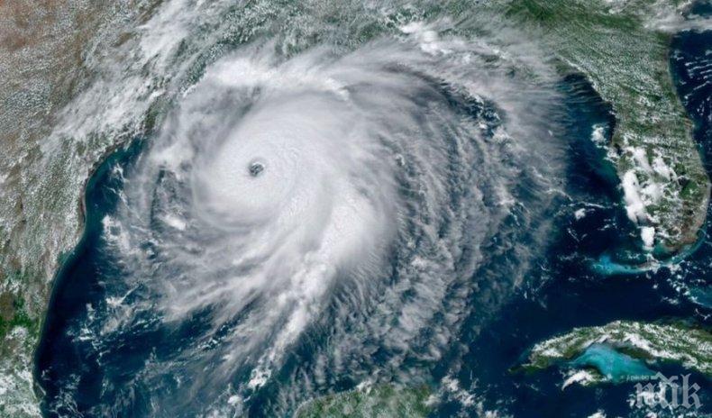
Ураганът Зета отне живота на най-малко шестима души в южните щати и остави вчера над 2 милиона души без ток, съобщи ДПА.
препоръчано
Зета достигна сушата в сряда през нощта като ураган от втора категория в щата Луизиана с ветрове от до 175 км/ч. По данни на сайта poweroutage.us, над 2 милиона са останали без ток в Луизиана, Алабама, Мисисипи, Джорджия и двете Каролини, предава БНР.
Губернаторите на някои от тези щати обявиха извънредно положение, а президентът Доналд Тръмп отложи предизборен митинг, насрочен за вчера в Северна Каролина.
Един човек е загинал от токов удар в Луизиана. Не е ясно как са загинали останалите петима, за чиято смърт съобщиха местни медии.
свързани новини
Бурята "Епсилон" се засили до ураган, връхлита Бермудите в четвъртък
12024
на 21.10.2020
Циклонът "Сали" се превръща в ураган
13260
на 15.09.2020
ОТ ПОСЛЕДНИТЕ МИНУТИ! Тръмп се обади на Путин, за да обсъдят Иран и Украйна
30333
преди 5 часа
Летище в САЩ беше евакуирано след сигнал за заплаха (ВИДЕО)
16086
преди 17 часа
Ето кои са най-токсичните за организма ни храни
29621
на 08.03.2026


