ГОРЕЩО
Атанас Зафиров: Искаме Европа, която обединява, а не разделя
Желязков: Нямаме право да напуснем кораба в този критичен за страната момент!
Георги Марков емоционално пред ПИК: Бойко е най-добрият премиер на Прехода! Ако ППДБ влязат във властта, ще ни вкарат във война
Кметът на "Люлин", разкрил една от най-големите афери в "Промяната", с ОТВОРЕНО ПИСМО: Кирил Петков прехвърли вината върху нас! Антикорупционерите се оказаха корупционери
ПЪРВО В ПИК: Митингът на ДПС-Ново начало плъзва из цяла България - ето ги градовете, които излизат в защита на стабилността в държавата
ПИК с нов канал в Телеграм
Последвайте ни в Google News Showcase
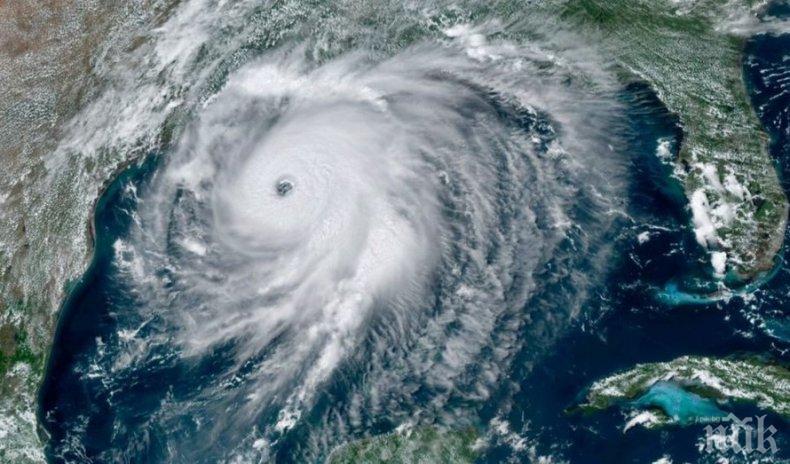
Тропическата буря "Епсилон" в Атлантическия океан се засили до ураган, приближавайки Бермудските острови, съобщи Асошиейтед прес.
препоръчано
Бурята се намира на около 900 км югоизточно от Бермудските острови, движи се на северозапад със скорост около 20 км/ч и се очаква да ги достигне утре вечер, по данни на Националния център на САЩ за наблюдение на ураганите.
Земетресение разтърси Аляска
6811
преди 6 часа
29-годишна бразилска балерина е най-младият милиардер в света
20963
преди 14 часа


