ГОРЕЩО
МРЪСЕН СЦЕНАРИЙ! Ето как ППДБ опитаха да направят ПРЕВРАТ в "Детска хирургия" в МБАЛ "Св. Анна“-Варна. Заплатите на "унизително заплатените" напуснали лекари – над 10 бона! (ДОКУМЕНТИ)
САМО В ПИК! Ето какво се е случило след клипа на Божанков от бюфета на НС - хората на Костадинов си тръгнали гладни (ВИДЕО)
ШОКИРАЩО! Ето я историята на 8-годишния Леон, живял с „лама“ Калушев в хижата на ужасите "Петрохан"
Елен Колева проговори за покойния Калин Терзийски. Ето какво разкри бившата муза на писателя
Лъсна схема на Сандов, Белев и Ковачев за овладяване на Петрохан
ПИК с нов канал в Телеграм
Последвайте ни в Google News Showcase
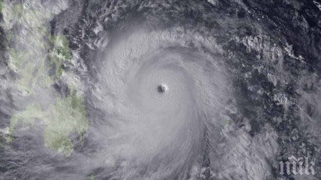
Двадесет и третият за тази година тайфун , който се приближава към северната японска префектура Хокайдо, е предизвикал нарушения в графика на железопътния и авиационния транспорт. Около 5 хиляди души са получили препоръки за евакуация, съобщава ТАСС, цитирана от Фокус.
препоръчано
По данни на железопътната компания „Джей Ар Хокайдо“ отменени са над 150 железопътни съобщения, сред които 24 експресни. По данни на летище Шинитоше отменени са 92 полета.
Във връзка с тайфуна са отменени учебните занятия в 102 начални и средни училища.
свързани новини
Над 100 полета са отменени в Япония заради мощен тайфун
3869
на 25.07.2015
Арменски политик предложи създаването на „министерство на секса“
8401
на 04.02.2026
В Китай започна масовото пътуване за Лунната Нова година
13916
на 03.02.2026
Китай забранява прибиращите се дръжки на вратите на автомобилите от 2027 г.
12382
на 03.02.2026
Обилни снеговалежи отнеха живота на 30 души в Япония
10033
на 03.02.2026


