ГОРЕЩО
Колтуклиева: Асен заличи Лена, а Киро го е страх дори името му да произнесе
Наталия Киселова ПРОГОВОРИ и КАЗА истината за референдума за еврото - ето с какви аргументи ударила Радев през ръцете
ГОРЕЩА ТЕМА! Остриета на ГЕРБ разобличиха Радев за поканата за Съвета за мир: Истината пристигна по дипломатически път. Лъжата - по политически
ХИТ! Жестока гавра със сутрешните блокове заради истерията им по Радев
ЛЪЖА ИЛИ ИСТИНА? Руски медии знаели 3 часа по-рано за оставката на Румен Радев (СНИМКИ)
"ДА" между Лудогорец и титулуван чуждестранен треньор?
31584
на 25.11.2020
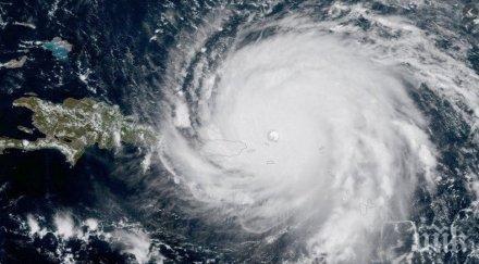
Десетки загинали в Мексико след преминаването на урагана Ета
9896
на 07.11.2020
Застреляха мексикански журналист в град Сиудад Хуарес
7816
на 01.11.2020
БРУТАЛНО УБИЙСТВО: Ликвидираха разследващ журналист в Мексико
14368
на 31.10.2020
Над 100 души пипнаха коронавирус на ВИП-сватба в Мексико
8039
на 21.10.2020
Евакуираха хиляди туристи в Мексико заради урагана „Делта”
7511
на 08.10.2020
Мексиканският наркобарон Ел Чапо обжалва присъдата си
24499
на 05.09.2020
Почина вдовицата на Габриел Гарсия Маркес
26110
на 17.08.2020
Мълния уби две мексикански футболистки, други три са с наранявания
7060
на 28.07.2020
Откритие в Мексико: Археолози откриха най-древната постройка на маите
12222
на 23.07.2020
ГОЛЯМА ТРАГЕДИЯ: Мексикански боксьор почина от рак на 21 години
14353
на 02.07.2020
КАТО НА ФИЛМ: 16 трупа след зрелищна престрелка между наркобанди в Мексико
10187
на 26.06.2020
Мексико регистрира антирекорд за починали от коронавируса
15112
на 27.05.2020
Почина китаристът Хорхе Сантана, по-младият брат на Карлос Сантана
9524
на 18.05.2020
Мексикански уличен художник посвети серия графити на медиците
6406
на 14.05.2020
Близо 100 починали от фалшив алкохол в Мексико през миналия уикенд
10128
на 14.05.2020
Брокер заби тенис барбито София Жук
14121
на 09.05.2020
Мексикански министър с положителен тест за коронавирус
3397
на 28.04.2020
Рут Колева на курс по кулинария при шеф в Мексико
14217
на 11.04.2020
ПОСЛЕДНИ НОВИНИ
Борят се за живота на жена, пострадала при катастрофа край Бургас
665
преди 3 минути
Зафиров от Хасково: Не съм отстъпил нито на сантиметър от обещанията си
4326
преди 19 минути
Затвориха Троян-Кърнаре за коли и камиони
2546
преди 23 минути
Колтуклиева: Асен заличи Лена, а Киро го е страх дори името му да произнесе
53700
преди 48 минути
В община Левски е ден на траур заради катастрофа с две жертви
6608
преди 1 часа
Пуснаха камионите през Рожен и по пътя Девин-Кричим
4200
преди 1 часа
Загиналите в жп катастрофата в Испания продължават да се увеличават
7175
преди 1 часа
НЯМА СПИРКА! Кристиано Роналдо отбеляза гол №960 в кариерата си
5251
преди 2 часа
НАЙ-ЧЕТЕНИ
ГОРЕЩ СЛУХ: Радев напуска "Дондуков" 2 до часове - ето каква опасност го грози...
952301
на 17.01.2026
Проектът на Радев стартира с гаф, дошъл от един от най-близките му хора (СНИМКА)
583713
на 20.01.2026
ГОРЕЩА ВЕРСИЯ: Вървят совалки за нова сглобка - ген. Атанасов се цепи от Асен
458165
на 18.01.2026


