ГОРЕЩО
„Топлофикация Перник“ дари високотехнологична апаратура на Профилакториума: Инвестиция в здравето и бъдещето на Перник
Доц. Стойчо Стойчев пред ПИК TV: Няма нова политическа вълна, а преразпределение на вот за държавната хранилка (ВИДЕО)
ПЪРВО В ПИК! Пеевски сигнализира прокуратурата за недопустима намеса на служебния министър в работата на професионалния състав на МВР
Хекимян осветли пъклените планове на Васко Ухото: Иска да превърне този прекрасен столичен район в новото сметище на София
ПИК TV! ЦИК с нови данни за предстоящите избори: Купените 12 837 машини са от 2021 г., ремонтите им се поемат от държавата (ВИДЕО)
ПИК с нов канал в Телеграм
Последвайте ни в Google News Showcase
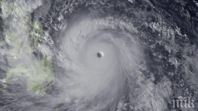
Тайфунът "Дуджуан" в Тихия океан, на който в Япония е даден номер 21, приближава архипелага от югоизток. Скоростта на вятъра в центъра на тайфуна е 18 метра в секунда, с пориви до 25 метра в секунда.
препоръчано
В края на седмицата тайфунът може да достигне източното крайбрежие на Япония. През септември, при проливните дъждове, под влиянието на преминаващите тайфуни "Етау" и "Кило", в Япония загинаха седем души, а около 40 бяха ранени в различна степен.
свързани новини
Евакуират 4000 японци заради тайфун
4337
на 16.07.2015
Ким Чен-ун тества пистолети заедно с дъщеря си във фабрика за боеприпаси
10963
преди 6 часа
Земетресение с магнитуд 6.1 по Рихтер разтърси остров Тонга
9182
на 08.03.2026
Синхуа: Китай призовава за незабавно прекратяване на огъня в Близкия изток
10338
на 08.03.2026
ВПЕЧАТЛЯВАЩО: Китай строи едновременно 37 ядрени блока
11655
на 08.03.2026


