ГОРЕЩО
ГОРЕЩО В ПИК: Колтуклиева ИСКА СПЕШЕН ОТГОВОР от Дечев за среднощния гастрол на Демерджиев в ГДНП
МОР ПО ЧЕРНОМОРИЕТО! 9 делфина и над 300 буревестници са открити мъртви
ОГРОМНА ТРАГЕДИЯ! Ученичка се самоуби в Пловдив - причините са неизвестни
МЪЛНИЯ В ПИК! Изборите са опорочени след среднощната оперативка на Демерджиев в ГДНП. Кабинетът "Гюров" се провали - да подава оставка (ВИДЕО)
ИДВА ЛИ КРАЯТ! Тръмп обмисля "постепенно ограничаване" на операцията в Близкия изток
ПИК с нов канал в Телеграм
Последвайте ни в Google News Showcase
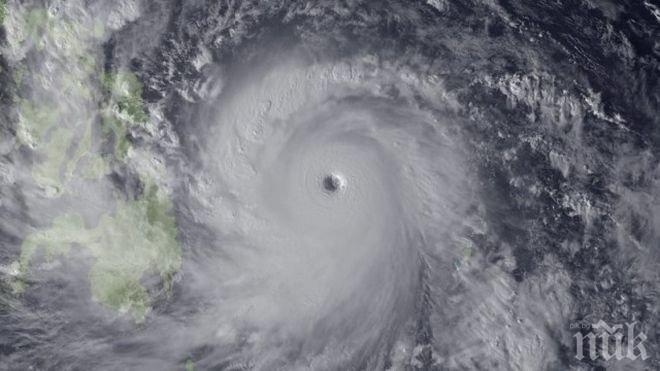
Мощен тайфун заплашва японския остров Хокйдо. Властите препоръчаха на около 5000 жители на острова да се укрият в убежища заради приближаването на стихията, съобщи тв компанията Ти Би Ес.
препоръчано
Във връзка с това властите са изпратили повече спасителни екипи в района, който се очаква да бъде засегнат. По данни на японските метеоролози, циклонът се приближава със скорост т 55 км/час, с много силни пориви на вятъра. След Хокайдо тайфунът ще се насочи към Курилските острови и Сахалин. Наложена е евакуация на жителите на пристанище Немуро на остров Хокайдо, където се очакват ветрове със скорост 30 м./сек.
Протест в Кипър срещу мерките против шапа
6718
преди 3 часа
ЗАРАДИ ПРОТЕСТ: Спират всички влакове в Гърция на 23 март
6799
преди 3 часа
Иран: Нямаме петрол в танкери за продажба
9483
преди 3 часа
Иран е изстрелял две ракети срещу военната база Диего Гарсия в Тихия океан
14300
преди 5 часа


