ГОРЕЩО
САМО В ПИК! Порасна му работата, откакто стана съветник на Гюров: Бербатов джигитства из центъра на София (СНИМКИ)
Николай Николов пред ПИК TV: Големите партии изсмукват гласоподавателите на малките играчи. ППДБ влизат в кампанията с отслабени позиции (ВИДЕО)
Хванаха натясно правосъдния министър Андрей Янкулов: Защо скрихте и покрихте Теди Еврото в “престъпната мрежа Осемте джуджета”
ОТ ПОСЛЕДНИТЕ МИНУТИ! Полицаи проговориха срещу Бойко Рашков - били заплашени, че ако не извършат арестите на Борисов, Горанов и Арнаудова, нямат място в МВР (ВИДЕО)
Пролетният уикенд фест в София на 28-29 март събира китайските марки автомобили и техните фенове в България
ПИК с нов канал в Телеграм
Последвайте ни в Google News Showcase
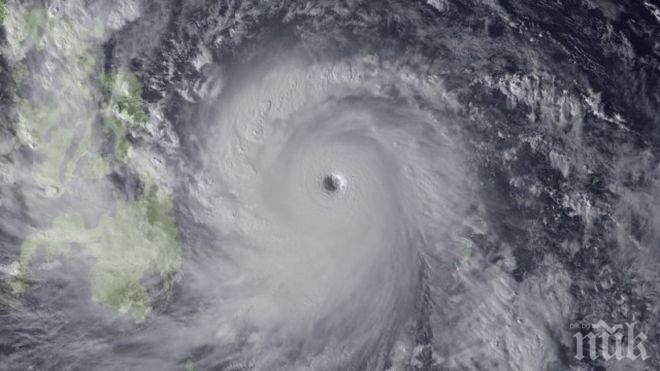
В резултат на супертайфуна „Дуцзюан“, който удари остров Тайван, електрозахранването на над 2 милиона домове беше спряно, съобщи агенция "Фокус", позовавайки се на BBC.
Заради лошите метеорологични условия също беше разстроен железопътния трафик и бяха отменени полети. Потвърдена е смъртта на най-малко двама души. Много училища и офис сгради са затворени. В момента тайфунът е отишъл към Китай. Скоростта на вятъра е 63 метра в секунда.
препоръчано
Тайфун отмени концерт на Бон Джоуви в Тайван
6668
на 28.09.2015


