ГОРЕЩО
НПО-тата на Прокопиев, свързани с мистериозното тройно убийство край Петрохан - разследвани от 2 години
САМО В ПИК TV! Петър Кичашки сравни сегашната ситуация с 4 февруари 1997 г. и даде ценен съвет на Йотова при избора на служебен премиер (ВИДЕО)
САМО В ПИК! Атанас Русев ПРОГОВОРИ за познанството си с разстреляните в хижа "Петрохан": Не съм чувал Калушев от 10 години. Най-вероятната версия е за… (СНИМКИ)
ТОП СОЦИОЛОГ: Противно на очакванията, кампанията няма да е конфронтационна, конкурентното предимство на Борисов са... А Пеевски...
САНДОВ, ИЗПЛЮЙ КАМЪЧЕТО! Защо покри НПО-то на рейнджърите, "паднало от небето" в последната минута
ПИК с нов канал в Телеграм
Последвайте ни в Google News Showcase
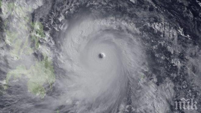
Тайфунът Мелор, който причини големи наводнения е убил най-малко девет души във Филипините, сочат нови данни на властите, публикувани в сряда.
препоръчано
Водни потоци заляха Манила във вторник вечерта, под вода останаха някои пътища, нарушен бе трафикът.
Водата се оттегли в 12-милионната столицата на архипелага, който често става жертва на тайфуни.
Филипините преживяват поредния си тайфун
8298
на 14.12.2015


