ГОРЕЩО
Криминален психолог за "Туин пийкс" на Петрохан: Много тежко и жестоко убийство, извършено по изключително демонстративен начин. Дали не са видели нещо, което не трябва
Приятели се сбогуват с убития Дечо Василев - през последните години рейнджърът се отдал на отшелнически живот (СНИМКИ)
Георги Харизанов с горещи новини пред ПИК TV за тол таксите: Няма увеличение, въвежда се екологичен принцип „замърсителят плаща повече“ (ВИДЕО)
Искра Михайлова: Българите зад граница са най-големият инвеститор. Нека мислим за сънародниците си в чужбина не само по избори
Vivacom стартира Смарт оферти през февруари с до 85% отстъпка на над 200 устройства
ПИК с нов канал в Телеграм
Последвайте ни в Google News Showcase
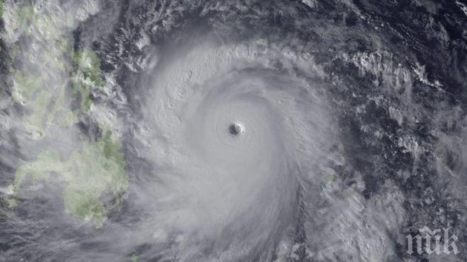
Поне 121 рибари са изчезнали в северната част на Филипините в резултат на мощния тропически тайфун „Мучхихе“, предаде агенция "Фокус", позовавайки се на Xinhua.
Филипинският национален съвет по управляване на извънредните ситуации съобщи, че са изчезнали 23 рибарски кораба по време на бурята. Филипинските власти съобщават за 31 спасени рибари.
Междувременно властите в Китай са обявили най-високата „червена“ степен на тревога във връзка с приближаващия до бреговете на континента тайфун.
препоръчано
свързани новини
Тайфун предизвика хаос в Китай
3522
на 30.09.2015
ОТРОВА ОТ ЧЕШМИТЕ: Опасна вода потече на гръцкия остров Егина
5205
преди 2 часа
В СРАВНЕНИЕ С ЕС: Заводите в България вдигат най-много цените
9444
преди 3 часа
Фермери ще организират протестен митинг в Атина този месец
3878
преди 5 часа


