ГОРЕЩО
Кирил Петков се опита да подкопае етническия мир в България
Шефът на СДВР с ПЪРВИ ПОДРОБНОСТИ: Агитки и локали вандалстват в София след протеста, над 40 са задържаните (ВИДЕО)
ИЗВЪНРЕДНО Нов опит за метеж в София след протеста на ППДБ - маскирани хвърлят бомбички, обръщат контейнери и заплашват случайни минувачи
Пуснаха движението по "Дондуков" след протеста в Триъгълника на властта
Десетки задържани на протеста в София
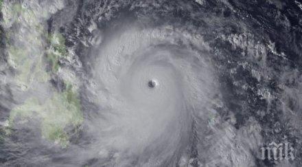
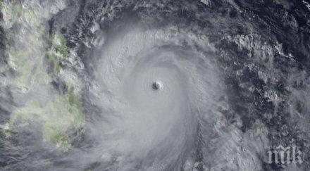
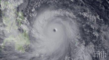
СПЕШНА ЕВАКУАЦИЯ! Тайфунът "Джеби" изправи Япония на нокти
11976
на 03.09.2018
Външно предупреди: Урагани и тайфуни дебнат в няколко страни
14228
на 23.08.2018
Огромна опасност! Супер тайфун може да потопи 1/3 от Токио
16039
на 01.04.2018
ПАМЕТ! На този ден в далечен Монреал умира бате Климбо
36855
на 29.03.2018
Аня Пенчева черпи гости с торта "Аня"
71944
на 03.01.2018
ЗЕМЕТРЕСЕНИЕ! 5,4 по Рихтер разлюля японския архипелаг Рюкю
4675
на 24.11.2017
Проф. Пимпирев: Превръщаме арктическата ни база в световен център
8728
на 06.11.2017
Масова евакуация на Филипините! Мощен тайфун се носи с 260 км/ч!
8876
на 19.10.2016
Токио се готви за проливни дъждове, ветрове и наводнения засягат Япония
6268
на 07.09.2016
Разтърсваща история! Ето как тръгнала любовта между Мариана и Димитър Цонев
36132
на 27.08.2016
На сметката на тайфуна Мелор записаха девет мъртви
1913
на 16.12.2015
Цели 380 грама зърно е дневната дажба на севернокорейците
3585
на 07.12.2015
Пожар и експлозия на пристанище в Хонконг (видео)
5730
на 27.09.2015
Мощен тайфун приближава Япония
4138
на 25.09.2015
Тайфунът "Дуджуан" приближава Япония
5161
на 23.09.2015
ПОСЛЕДНИ НОВИНИ
Заради трансплантиран бъбрек от донор: Американец почина от бяс
2080
преди 20 минути
Кирил Петков се опита да подкопае етническия мир в България
14652
преди 20 минути
Самолет се разби на магистрала във Флорида
3539
преди 39 минути
Пуснаха движението по "Дондуков" след протеста в Триъгълника на властта
5123
преди 1 часа
Десетки задържани на протеста в София
26102
преди 1 часа
НАЙ-ЧЕТЕНИ
ТРАГЕДИЯ! 16-годишно момиче скочи от висок етаж на блок в Пловдив
4815041
на 07.12.2025
ГЕРБ обяви голяма новина за Мария Габриел, Манфред Вебер я поздрави
2294039
на 06.12.2025
Пияна жена предизвика масов бой с пребит и арестувани в нощен бар в Сандански
1162174
на 08.12.2025
ИЗВЪНРЕДНО! Ген. Атанасов получи есемес, от който му идва да потъне вдън земя
905841
на 04.12.2025
НА ВНИМАНИЕТО НА ПРОТЕСТА: ГОЛЯМАТА ЛЪЖА на "Промяната" (СКАНДАЛНИ РАЗКРИТИЯ)
545884
на 07.12.2025


