ГОРЕЩО
Гюров на тръни - Съдът на ЕС се произнася по запитването за конфликт на интереси. Каквото и да се случи, сектата ще врещи, а последната дума е на Йотова...
Възможно е пренареждане на победителите - топсоциолог посочи плюсовете в кампаниите на ГЕРБ и ДПС, и какво дърпа надолу ППДБ и Радев
БЕЗПОЩАДНО ТОЧНО: Янкулов и Цицелков са позор, както и другите, които ги събраха от кол и въже кукловодите, които инсталираха плюшения служебен премиер
МИРЧЕВ, СЛАБ 2! Йордан Цонев преподаде УРОК на щурмовака от Росенец: Най-големият "защитник" на демокрацията ще ни дава акъл! Всички видяха колко "морални" и кухи хора сте (ВИДЕО)
ГОРЕЩО В ПИК TV! Тома Николов: Валякът "Петрохан" премаза Терзиев и ППДБ. Теодора Георгиева има разстройство на мисловната дейност - върза фльонга на фльонгите (ВИДЕО)
ПИК с нов канал в Телеграм
Последвайте ни в Google News Showcase
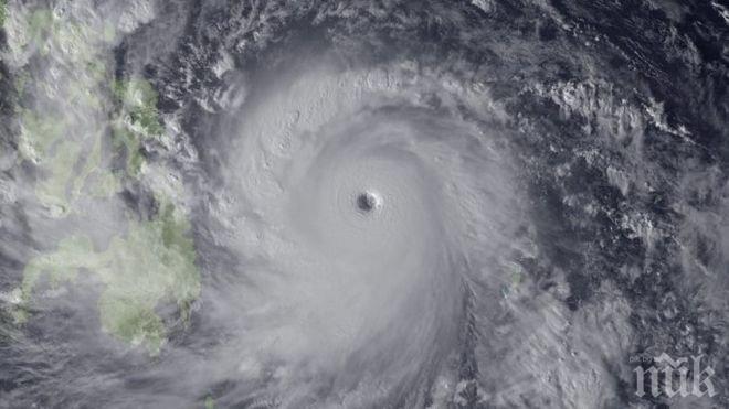
Японските авиокомпании отмениха в сряда 85 вътрешни полета заради приближаващия мощен тайфун "Чаба", съобщи телевизия Ен Ейч Кей, цитирана от ТАСС. По данни на японските метеоролози тропическата буря се намира северозападно от остров Кюшю. Скоростта на вятъра в централната му част е до 40 м в сек, а поривите са до 60 м в сек. В редица югозападни префектури за деня може да паднат до 200 литра дъжд на кв.м.. Миналия ден заради "Чаба" в Окинава бе затворено главното местно летище в град Наха. Отменени бяха 300 полета.
препоръчано
Окото на урагана "Матю" е достигнало Източна Куба
14891
на 05.10.2016


