ГОРЕЩО
БЕЗПОЩАДНО ТОЧНО: Янкулов и Цицелков са позор, както и другите, които ги събраха от кол и въже кукловодите, които инсталираха плюшения служебен премиер
МИРЧЕВ, СЛАБ 2! Йордан Цонев преподаде УРОК на щурмовака от Росенец: Най-големият "защитник" на демокрацията ще ни дава акъл! Всички видяха колко "морални" и кухи хора сте (ВИДЕО)
ГОРЕЩО В ПИК TV! Тома Николов: Валякът "Петрохан" премаза Терзиев и ППДБ. Теодора Георгиева има разстройство на мисловната дейност - върза фльонга на фльонгите (ВИДЕО)
ЕКШЪН В ПИК TV! Станислав Анастасов ХВАНА НАТЯСНО служебен министър: Вие сте новият Цицелков. Колко пъти сте се срещали с Божидар Божанов, Ивайло Мирчев, Асен Василев, Васил Терзиев (ВИДЕО)
ПИК TV! Адвокат Станислав Станев: Обидно ми е, че Теодора Георгиева очаква да повярваме на глупостите й (ВИДЕО)
ПИК с нов канал в Телеграм
Последвайте ни в Google News Showcase
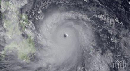
Един човек е загинал, 62 са ранени в Хонг Конг заради тайфуна „Пакхар“, който се стовари в южната част на Китай. Още осем души са ранени на остров Макао, предаде РИА Новости, цитирана от Фокус.
Заради стихията на международното летище на Хонг Конг са отменени 670 полета, спряна е фериботната връзка, парализиран е наземния обществен транспорт, затворени са училища, банки и държавни учреждения.
препоръчано
В момента се води работа по ликвидирането на последствията от стихийното бедствие. Планира се транспортът постепенно да бъде въведен в щатен режим.
Тайфунът „Пакхар“ вече е на територията на Китай
4725
на 27.08.2017


