ПИК с нов канал в Телеграм
Последвайте ни в Google News Showcase
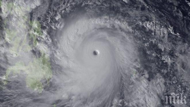
Най-малко четирима души загинаха, след като северната част на Филипините бе връхлетяна днес от мощния тайфун Гони, предаде ДПА, като се позова на представители на полицията и на службите за справяне с последиците при бедствия.
Три от жертвите, сред които 10-годишно момче, били затрупани от свличания на земни маси в планинския регион Кордилера, съобщи филипинската служба за гражданска защита. По данни на полицията четвърти човек е загинал, след като била ударен от падащо дърво в съседната провинция Северен Илокос. Най-малко 26 пътни артерии в северната част на Филипините понастоящем са непроходими поради свлачищата, съобщи шефът на Националният съвет за управление на минимизирането на риска от бедствия Александър Пама, информира БТА.
По данни на филипинската метеорологична служба тайфунът Гони продължава да се придвижва бавно със скорост от 7 км/ч в посока запад-северозапад, с постоянни ветрове от 170 км/ч и пориви на вятъра, достигащи 205 км/ч. Местоположението на окото на бурята за последно е установено на 100 км източно от остров Калаян, в най-северната провинция на Филипините, Кагаян. Според филипинските метеоролози, въпреки че няма да достигне сушата, Гони ще донесе умерено силни до силни валежи в големи части от страната.


