ГОРЕЩО
Законът "Магнитски" няма да се прилага у нас! Калин Стоянов срази с аргументи ППДБ
Най-подходящите зимни напитки за онлайн казино забавления
Пеевски предупреди: Февруари ще е много тежко!
Петър Кичашки с ТОП АНАЛИЗ пред ПИК TV: Консултациите показаха нови зависимости: Радев толерира радикализацията в политиката (ВИДЕО)
Желязков подари на Урсула фон дер Лайен българските евромоенти и обеща България да бъде...
"Патриция" стигна Мексико, но отслабна
7618
на 24.10.2015
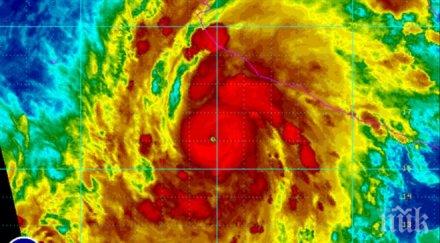
Ураганът „Патриция” е определен за "чудовище" и най-силния досега (видео)
14960
на 23.10.2015
Зла прогноза: Урагани може да потопят Ню Йорк!
5472
на 29.09.2015
:)
1822
на 28.09.2015
Най-малко природни бедствия от 10 години насам
2169
на 24.09.2015
Три урагана се образуваха едновременно над Тихия океан
3089
на 02.09.2015
НАСА разработва сателитна система за по-точно предсказване на урагани
5000
на 25.08.2015
Мореплавателят от "Кор Кароли" пусна котва в Кърджали
9489
на 20.06.2015
Уникално! Каква е жената - разгадайте я според алкохола, който обича да пие
63736
на 16.05.2015
6 начина, по които квантовите компютри ще променят света
11708
на 06.05.2015
Слаб сезон ще запишат атлантическите урагани
2800
на 13.04.2015
ПОСЛЕДНИ НОВИНИ
На жена от Асеновград е серийно прегазеното на АМ "Тракия" тяло
2026
преди 5 минути
Живи корали задържаха митничарите на Капитан Андреево (СНИМКИ)
3713
преди 25 минути
ОТ ПОСЛЕДНИТЕ МИНУТИ! Вдигнаха "Спартан"-а за донорска ситуация
7442
преди 33 минути
ВАЖНО ЗА СОФИЯНЦИ: Без синя и зелена зона за празничните дни
4925
преди 35 минути
20 000 къса контрабандни вейпове задържаха митничарите на Гюешево
3131
преди 41 минути
Стилиян Петров изригна: Тази българска футболна система е обречена
6594
преди 45 минути
Управлението на незаконни старчески домове става престъпление
5861
преди 53 минути
Законът "Магнитски" няма да се прилага у нас! Калин Стоянов срази с аргументи ППДБ
58765
преди 57 минути
Най-подходящите зимни напитки за онлайн казино забавления
4065
преди 1 часа
НАЙ-ЧЕТЕНИ
ПЪРВО В ПИК TV! Екшън на "Дондуков" 2 - Сачева попиля Радев (ВИДЕО/ОБНОВЕНА)
685723
на 15.12.2025
С ТЕЗИ ДУМИ Сачева измете пода на президентството с Радев
666932
на 15.12.2025
ШАШ И ПАНИКА: Голямо шубе подгони ПП, Денков кандърдисва Радев да не скача на избори
490735
на 13.12.2025


