Ураганът „Патриция” е определен за "чудовище" и най-силния досега (видео)
ПИК с нов канал в Телеграм
Последвайте ни в Google News Showcase
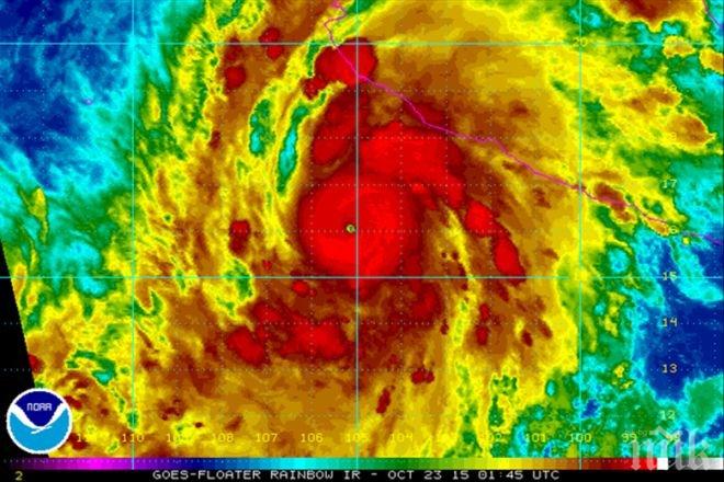
Ураганът „Патриция” вече е от 5-та степен, обявиха от Националния център по урагани в САЩ. Това означава, че стихията може да доведе до разрушаване на къщи, да вдигне и хвърли на километри автомобили и да строши дори метални конструкции. Подобна сила е от огромна заплаха и за хората, изпречили се на пътя й.
Според експерти, „Патриция” е най-силният ураган, регистриран досега в Западното полукълбо в района на Тихия океан. С него идват силни ветрове, проливни дъждове, които ще предизвикат наводнения на сушата и свличане на огромни земни маси. Ветровете в периферията на бурята достигат 110 км в минута, а вълните, които се отправят към сушата са около 12 метра.
Това е едва вторият ураган от 5-та степен, който ще удари тихоокеанското крайбрежие на Мексико от 1949 година досега. По силата и опасността, която носи, той може да бъде сравняван с „Катрина”, която предизвика трагедия в САЩ.


