ГОРЕЩО
КРИЗА В РАЗВИТИЕ: Това ли е единственият кандидат на ППДБ за президентските избори след масовия отлив на желаещи за трона на Радев
ПЕЧЕ СЕ ИНТРИГА! Бившето служебно вице на Радев разкри ще оглави ли партията му
МЕЧТИТЕ ИМ РОЗОВИ, ГЛУПОСТИТЕ ИМ - НА ТЪРКАЛЕТА: Някой да спре ППДБ да се резилят как щели да имат 121 депутати в следващия парламент
МЪЛНИЕНОСНА НОВИНА! Володимир Зеленски обяви: Украйна се отказва от НАТО
Балабанов им РАЗКАЗА ИГРАТА: Асен е бащата на финансовия хаос. Божанов, не се прави, че не помниш какво правеше в кабинета на Пеевски
ПИК с нов канал в Телеграм
Последвайте ни в Google News Showcase
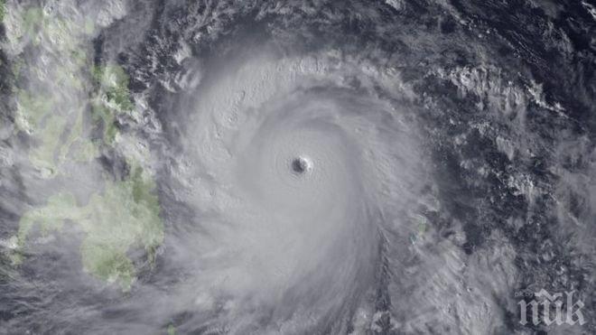
Хиляди местни жители са евакуирани във връзка с приближаването на тайфуна „Мелор“ към Филипините, съобщава "Уошингтън Поуст''.
препоръчано
Филипинското бюро по метеорология заяви, че тайфунът събира в себе си ветрове, духащи със 150 километра в час и носи със себе си проливни дъждове. Стихията е предизвикала свлачище на малкия остров Батаг, в източната част на Филипините. Друго свлачище се очаква да възникне в провинция Сорсогон.
"Хиляди местни жители в 6 провинции са евакуирани на безопасни места, представени са им помощи“, заяви представителят на филипинската служба за гражданска защита Бернардо Алехандро.
Тревога на Филипините - приближава тайфунът „Мелор“
2819
на 14.12.2015


