ГОРЕЩО
14 години медицински комплекс „Софиямед“ - грижа, иновации и технологии в услуга на здравето
Левски пак ще има проблеми с Лудогорец
Делян Пеевски: България трябва за стои на евроатлантическия път, отстоявайки националното си достойнство и свобода!
МА КАК СМЕЯТ?! ППДБ да направят протест на жълтите павета срещу "безобразието" спечелилите изборите да НЕ се съобразяват с тях
ПАРОДИЯ: Денков тропа с крак пред Доцова, не изпратила с аплодисменти Тик-Ток-актьорите на Гюров
Чудо! 7-годишно японче оцеля само седмица в гората
7481
на 03.06.2016
Тихоокеанско земетресение е усетено в Южни Курилски острови
12346
на 03.05.2016
Политическото джудо на Путин
8640
на 21.04.2016
Двама пострадали при изтичане на газ в стоманодобивен завод в Япония
8363
на 21.04.2016
Свръхскоростна жп линия свърза Токио с остров Хокайдо
6225
на 26.03.2016
Свръхскоростна ж. п. линия свърза Токио с най-северният остров Хокайдо
3562
на 26.03.2016
Снежни бури блокираха Северна Япония
7606
на 01.03.2016
Снежна буря връхлетя Северна Япония
2393
на 29.02.2016
Сняг затрупа северните части на Япония
2970
на 20.01.2016
Зимата парализира обширни части от Япония
3070
на 19.01.2016
Отмениха 130 полета в Япония заради снеговалежи
1804
на 18.01.2016
Земетресение от 6,7 по Рихтер разлюля Северна Япония
9161
на 14.01.2016
Силни земетресения разтърсиха Северното полукълбо
7601
на 11.01.2016
Загина една от най-известните алпинистки в света
7942
на 22.12.2015
Русия изгражда военна база в Арктика
3992
на 22.10.2015
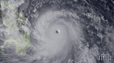
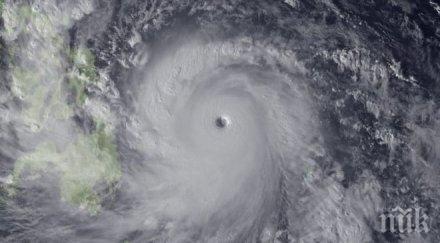
Мощен тайфун се движи към Хокайдо
5746
на 08.10.2015
Десетки полети и железопътни съобщения са отменени поради тайфун в Япония
2777
на 08.10.2015
ПОСЛЕДНИ НОВИНИ
Илиан Илиев попадна в елитна компания
1298
преди 7 минути
Ливърпул посреща тима в най-слаба форма – Челси
939
преди 7 минути
Мъри отхвърлил примамливи оферти от участник на Мондиал 2026
3352
преди 27 минути
ДНЕС: Затварят ключови булеварди в София
4808
преди 36 минути
Тежък урар за авиацията, масово се отменят полети
7552
преди 40 минути
Мишо Константинов с ЦЕННИ СЪВЕТИ какви трябва да са ПЪРВИТЕ стъпки на новата власт
28162
преди 51 минути
Левски пак ще има проблеми с Лудогорец
6055
преди 1 часа
С различни инициативи в София ще бъде отбелязан Денят на Европа
4975
преди 1 часа
НАЙ-ЧЕТЕНИ
СКАНДАЛ В БРЮКСЕЛ: Елена Йончева алармира за репресии на изборите
465978
на 05.05.2026
ПРЕДПОСЛЕДНА СЕЛЕКЦИЯ! Ето кои са министрите на Румен Радев
438356
на 06.05.2026
БРУТАЛНА СТРАТЕГИЯ: Това ли са убийците на Къро?
357294
на 08.05.2026
Д-р Мирослав Ненков е в болница
340495
на 04.05.2026


