ПИК с нов канал в Телеграм
Последвайте ни в Google News Showcase
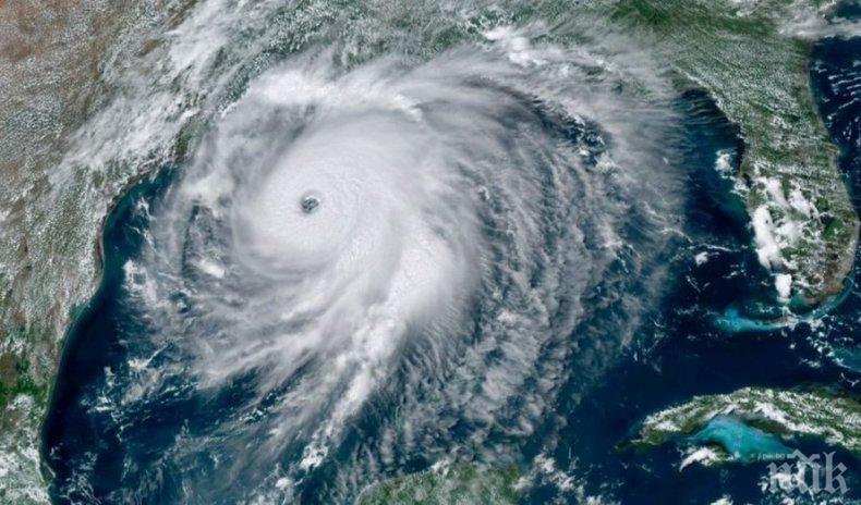
Тропическата буря „Сали” се засили и се превърна в ураган, като застрашава югоизточните части на САЩ, предадоха световните агенции, цитирани от Нова телевизия.
Ветровете на стихията са със скорост 150 километра в час и тя би могла да връхлети сушата още днес, предупреди Националният център за ураганите, базиран в Маями.
Сега „Сали” се намира на около 210 километра от делтата на Мисисипи и рискува да предизвика потенциално смъртоносно покачване на нивото на водоемите в щата Луизиана, както и на места в щата Алабама.
При връхлитането на Луизиана се очаква Сали да се засили до втора категория. Властите на град Ню Орлиънс призоваха жителите на някои райони да се евакуират. Евакуацията касае 15 000 души.
„Сали” вече спря част от производството на петрол в Мексиканския залив, като се очертава да е бавно придвижващата се буря, която да доведе до проливни дъждове.
Тропическа буря „Вики” пък се е образувала в източната част на Атлантическия океан. Прогнозният ѝ път е тя да се обърне на запад до края на седмицата, но на този етап се очаква да бъде слаба.
В момента картата за предстоящите бури в района на Мексиканския залив е „светнала като коледно дърво“, но според Националният център за ураганите нито една от бурите не е особено заплашителна.


