ПИК с нов канал в Телеграм
Последвайте ни в Google News Showcase
„Лаура“ удари американското крайбрежие като мощен ураган от 4-та степен на границата между Луизиана и Тексас. Стихията връхлетя със скорост на вятъра от над 240 километра в час - най-мощната буря в района от 164 години.
Докато във Вашингтон чакат речта на Доналд Тръмп, с която ще приеме номинацията си за втори мандат, всички погледи са насочени към „Лаура“ и разрухата, която носи със себе си.
Вече има и първата потвърдена жертва - 14-годишно момиченце в Луизиана, което починало след като ураганът стоварил дърво върху къщата, в която живее.
Хвърчащи покриви, улични знаци, клони и отломки – „Лаура“ се стовари с невиждана от век мощ в средата на нощта в градчето Камерън, Луизиана - по средата между Ню Орлиънс и Хюстън.
С изгрева на слънцето изгрява и картината на разрушение - наводнени улици, повалени електрически стълбове и жици, а мощните ветрове обръщат камиони като детски играчки. Над 600 хиляди домакинства са без ток.
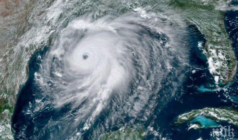
От Космоса „Лаура“ изглежда като огромно чудовище и в този час е все още мощен ураган от първа степен и продължава към щата Арканзас. Добрата новина е, че се движи бързо и това означава по-малко дъжд.
"Ние едва сега започваме да разбираме колко сериозно е. Изглежда, че има повече структурни поражения от вятъра и по-малко наводнения от колкото очаквахме", заяви губернаторът на Лизиана Бел Едуърдс.
Мнозина, които не се евакуираха, сега търсят помощ от властите, но те ще могат да се отзоват едва когато е безопасно. Директният път на урагана преминава през райони, в които живеят около 4 милиона души.
„Лаура“ ще продължи да отслабва, но ще остане тропическа буря.
В следващите 24 часа очакваме да направи завой на изток, минавайки през Арканзас и да достигне до Вашингтон, Ню Йорк, като буря в събота по обед.


