ПИК с нов канал в Телеграм
Последвайте ни в Google News Showcase
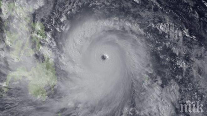
Най-малко 11 души са загинали в Североизточна Япония днес, след като мощен тайфун връхлетя района, предизвиквайки наводнения, съобщават местните медии, цитирани от ДПА. Девет души са починали в наводнен старчески дом; възрастен мъж се е удавил в придошла река в град Иваидзуми, префектура Ивате. Възрастна жена е починала в град Куджи.
Трима души се водят за изчезнали на северния остров Хокайдо. Тайфунът Лайънрок предизвика невиждани порои в северните райони на Япония. В Хокайдо на много места от вчера паднаха валежи над 300 милиметра, в Минамифурано те надхвърлиха 500 мм. Много реки са излезли от коритата си и водата е срутила мостове. Японската агенция по метеорология предупреди за още наводнения и свлачища, въпреки че Лайънрок - десетият тайфун в Азия за сезона, отслабна през нощта до тропическа депресия, преминавайки над Японско море. Това е първият тайфун, който връхлита Североизточна Япония след 1951 г., отбелязва БТА.


