ГОРЕЩО
ИЗВЪНРЕДНО В ПИК! Маминият Крум Зарков поема БСП - истинският лидер ще бъде ортакът му в кражбите Кирил Добрев (ВИДЕО)
Колтуклиева в десетката след избора на Крум Зарков: Началото на края на БСП!
Кирил Добрев превърна БСП в еднолична фирма - садистът и зоофоб Крум Зарков ще му носи куфарчето
Иван Таков на конгреса на БСП: С радикално лява платформа ще спечелим доверието на нашите избиратели
Калоян Паргов: БСП може без всеки от нас. Но България не може без БСП
ПИК с нов канал в Телеграм
Последвайте ни в Google News Showcase
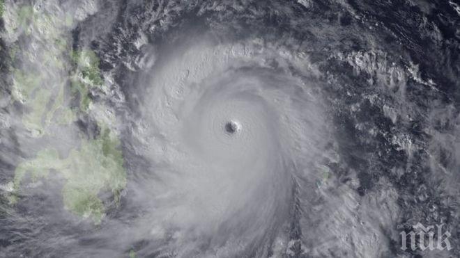
Броят на жертвите на тайфуна „Копу“ във Филипините достигна 16 души, съобщава BBC.
препоръчано
Десетки хиляди филипинци са били принудени да напуснат домовете си поради стихията. За три дни на главния филипински остров Лусон са паднали над 1000 милиметра дъжд, като при това синоптиците не прогнозират намаляване на дъждовете в близките дни.
Скоростта на вятъра на моменти е достигала 250 км/ч, като местните власти предупреждават за възможни срутвания на сгради, информира "Фокус".
Мощен тайфун се движи към Хокайдо
5332
на 08.10.2015


