ГОРЕЩО
Андролова с прогноза: Обмисля се бъдеща коалиция, в която либералите ще бъдат прецакани
МРЕЖАТА ГЪРМИ: Аз не скачам и съм дебел! И съм щастлив, че съм дебел, а не дебил! Няма как да се вържа на про100кики, Асеня, Рашков, Мирчев, Резидента, Мечо гел, Ивилинчо, Копейки и Пепейки...
Известен адвокат ПОКАЗА откровените глупости за бройката на протестиращите и как Манол Пейков, Асен Василев и Белобрадова трансформират геометрията
БЪРЗИ МИСЛИ ЗА ПРОТЕСТА: 50% концерт и 50% митинг. Който сее ветрове, жъне бури и прокуратури
ТЕЖКИ ВРЕМЕНА! От ИТН след хвърлената оставка на кабинета: Бащите на хаоса са Асен Василев, Ивайло Мирчев, Радостин Василев, Костадин Костадинов и Ивелин Михайлов (ВИДЕО)
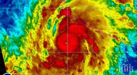
БЕДСТВИЕ: Ураганът Лоренцо връхлетя Азорските острови
6074
на 02.10.2019
Жителите на Азорските острови се готвят за урагана Лоренцо
6990
на 30.09.2019
Отстраниха повредата в гумата на правителствения "Фалкон"
20446
на 11.04.2019
Земетресение с магнитуд 5.3 по Рихтер бе регистрирано на Азорските острови
3737
на 16.02.2019
Великобритания се готви за бурята „Диана“
11388
на 28.11.2018
Силно земетресение на Азорските острови
8930
на 15.04.2018
Ирландия и Великобритания се подготвят за мощния ураган "Офелия"
21786
на 15.10.2017
Стихия! Тропическата буря „Офелия“ се формира в Атлантическия океан
10967
на 10.10.2017
ДОБРА ПРОГНОЗА! Чака ни мека и суха зима
12840
на 13.09.2017
Социалистите спечелиха тестови за Португалия избори на Азорските острови
6343
на 17.10.2016
Самолетните катастрофи в България (СПРАВКА)
273779
на 05.09.2016
Мистериите около Бермудския триъгълник се увеличават! Вижте какво има на дъното!
28426
на 27.02.2016
Ураганът „Алекс“ достигна Азорските острови
3806
на 15.01.2016
Над Атлантическия океан набира сила необичаен за януари ураган
5215
на 15.01.2016
За първи път от 1938 г. ураган се формира през януари в Атлантическия океан
4465
на 14.01.2016
Румен Гечев: Цинично е искането на ЕК за офшорките
6683
на 26.11.2015
ПОСЛЕДНИ НОВИНИ
Нови мерки заради мръсния въздух в София
1291
преди 8 минути
Андролова с прогноза: Обмисля се бъдеща коалиция, в която либералите ще бъдат прецакани
11781
преди 17 минути
Потрошиха автобуса на ПСЖ в Билбао
2385
преди 27 минути
Австрия прие закон, забраняващ носенето на забрадки в училище
3445
преди 47 минути
КС прекрати делото за спряната процедура за избор на главен прокурор
4895
преди 1 часа
Синът на Берлускони призова за нови лица във „Форца Италия“
4636
преди 1 часа
Операцията по изтегляне на танкера „Кайрос“ започва утре
6037
преди 2 часа
РАЗКОЛ! Руди Гела се ядоса на ППДБ, че са приватизирали протеста
69919
преди 2 часа
НАЙ-ЧЕТЕНИ
ТРАГЕДИЯ! 16-годишно момиче скочи от висок етаж на блок в Пловдив
4835451
на 07.12.2025
ГЕРБ обяви голяма новина за Мария Габриел, Манфред Вебер я поздрави
2323447
на 06.12.2025
Пияна жена предизвика масов бой с пребит и арестувани в нощен бар в Сандански
1184267
на 08.12.2025
НА ВНИМАНИЕТО НА ПРОТЕСТА: ГОЛЯМАТА ЛЪЖА на "Промяната" (СКАНДАЛНИ РАЗКРИТИЯ)
583478
на 07.12.2025


