ГОРЕЩО
БЕЗПОЩАДНО ТОЧНО: Янкулов и Цицелков са позор, както и другите, които ги събраха от кол и въже кукловодите, които инсталираха плюшения служебен премиер
МИРЧЕВ, СЛАБ 2! Йордан Цонев преподаде УРОК на щурмовака от Росенец: Най-големият "защитник" на демокрацията ще ни дава акъл! Всички видяха колко "морални" и кухи хора сте (ВИДЕО)
ГОРЕЩО В ПИК TV! Тома Николов: Валякът "Петрохан" премаза Терзиев и ППДБ. Теодора Георгиева има разстройство на мисловната дейност - върза фльонга на фльонгите (ВИДЕО)
ЕКШЪН В ПИК TV! Станислав Анастасов ХВАНА НАТЯСНО служебен министър: Вие сте новият Цицелков. Колко пъти сте се срещали с Божидар Божанов, Ивайло Мирчев, Асен Василев, Васил Терзиев (ВИДЕО)
ПИК TV! Адвокат Станислав Станев: Обидно ми е, че Теодора Георгиева очаква да повярваме на глупостите й (ВИДЕО)
ПИК с нов канал в Телеграм
Последвайте ни в Google News Showcase
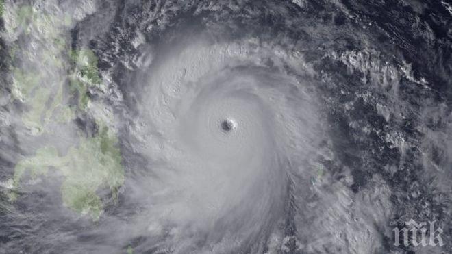
Мощният тайфун „Пакхар“ достигна тази сутрин до южната част на континентален Китай, предаде РИА Новости, позовавайки се на местни медии.
препоръчано
Стихията достигна до крайбрежния град Тайшан в провинцията Гуандун около 09:00 часа сутринта (б.р 04:00 часа сутринта българско време).
Максималната скорост на вятъра в епицентъра на тайфуна достига до 33 метра в секунда.
По-рано властите в специалните административни райони Хонконг и Макао обявиха осмо по десетобалната скала равнище на тревога заради тайфуна.
Фокус
Япония в ужас от приближаващия тайфун „Нору“
9572
на 07.08.2017
На тъмно! Близо 11 хиляди семейства останаха без ток в Япония заради тайфун
6913
на 05.08.2017
43 самолетни полета бяха отменени заради тайфун в Япония
8350
на 04.07.2017
Тайфун и поройни дъждове връхлетяха Тайван
6647
на 29.07.2017


