ГОРЕЩО
МЪЛНИЯ! Профилите на Кандев и Гюров във Фейсбук - част от схема за бъдеща политическа кариера? (СНИМКИ)
ЕЙ ТАКА КАТО СТАНЕ: Мирчев пъчи мускули, отправи ПОСЛЕДНО ПРЕДУПРЕЖДЕНИЕ към ПП
ЕУФОРИЯ! Карлос Насар се завърна по шампионски (СНИМКИ)
ГОРЕЩА ТЕМА: Иран се връща на масата за преговори
Прессекретарят на Белия дом с ПРОРОЧЕСКИ ДУМИ преди атентата срещу Тръмп: Ще има изстрели тази вечер
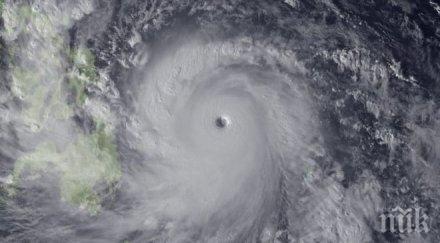
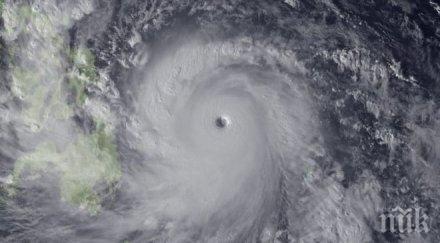
Тайфун блокира Токио, стихията беснее със 180 км в час!
9724
на 22.08.2016
На остров Хокайдо евакуираха 408 души заради наводнения
3798
на 18.08.2016
Тайфунът Шантху наближава Япония със 108 км./ч
7650
на 16.08.2016
Мощният тайфун "Нида" достигна и Хонконг
12441
на 02.08.2016
УЖАС В КИТАЙ! Тайфунът "Нида" връхлетя страната, животът е блокиран напълно
36305
на 02.08.2016
Стихията „Непартак" уби двама, десетки са в неизвестност (ВИДЕО)
7351
на 11.07.2016
Валерия Велева: Доган и неговите 121 изречения
21790
на 31.12.2015
1,7 милиона души са напуснали домовете си заради бурите на Филипините
2947
на 23.12.2015
На сметката на тайфуна Мелор записаха девет мъртви
2392
на 16.12.2015
"Мелор" уби трима души при преминаването си през Филипините
8469
на 15.12.2015
Хиляди филипинци са евакуирани заради приближаването на тайфуна „Мелор"
3607
на 14.12.2015
Тревога на Филипините - приближава тайфунът „Мелор“
3099
на 14.12.2015
Филипините преживяват поредния си тайфун
8568
на 14.12.2015
Кошмар! Родни миски бедстват във Филипините заради мощен тайфун
7988
на 23.10.2015
Тайфунът "Копу" във Филипините отне живота на 14 души
9039
на 19.10.2015
Тайфунът "Копу" връхлетя Филипините, хиляди евакуирани
15104
на 18.10.2015
Мощен тайфун се движи към Хокайдо
5697
на 08.10.2015
Мощен циклон засегна японския остров Хокайдо
4177
на 02.10.2015
Тайфун предизвика хаос в Китай
3880
на 30.09.2015
ПОСЛЕДНИ НОВИНИ
Китай е недоволен от санкциите на ЕС срещу Русия и обещава ответни мерки
6798
преди 3 часа
Смях и сълзи с нова книга на Недялко Йорданов
6541
преди 3 часа
САМО В ПИК И "РЕТРО": Майката на Гала с усмивка за над 10 000 евро
26743
преди 4 часа
"Национална полиция" съветва: Не признавайте дълг по телефона
9924
преди 4 часа
Кенгуру албинос се роди в зооцентъра в Добрич
6861
преди 4 часа
Ядрената енергетика е на пътя на своето възраждане
7052
преди 4 часа
НАЙ-ЧЕТЕНИ
НЕВОЛНО ИЗДАДОХА ПЛАНА: Гласят бивш служебен премиер за шеф на парламента
680834
на 20.04.2026
ЖЪЛТОПАВЕТНИ ДРАМИ: ППДБ се тресе - Асен Василев бесен на Гюров заради...
571659
на 22.04.2026
ПЪРВО В ПИК! Още един ключов кадър на ГЕРБ се оттегля от поста?
492339
на 25.04.2026
МИСТЕРИЯТА ПАДНА: Ето кой ще е номинацията на "Прогресивна България" за премиер
489362
на 25.04.2026
КРАЙ! Ето ги финалните резултати от изборите (ГРАФИКА)
485941
на 20.04.2026
Колтуклиева: Безпардонна наглост от Йотова - меси се в изпълнителната власт
381214
на 23.04.2026


